いつも当店のHPをご覧いただき誠にありがとうございます。
西桔梗店スタッフの松田です。
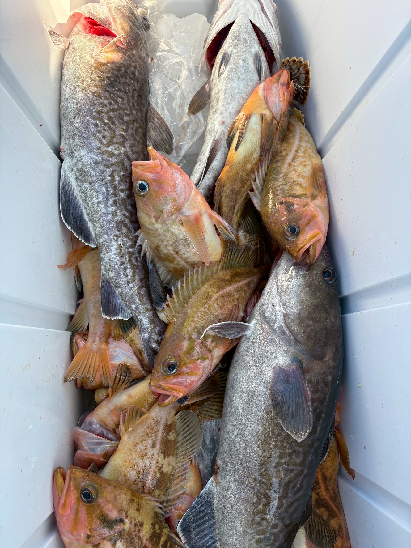
11/15(土)16日(日)の二日間にわたって、椴法華漁港から出港の、豊盛丸(田邊船長)より情報いただきました🚢
両日とも6時半出港で、椴法華沖130Mの根🌊
本日16日(日)は、潮回り悪く、序盤はポツポツと釣れる状態でしたが、10時を過ぎた頃、潮が動き出し、なんと船中で50本のタラをGET!!
サイズも大きく、立派なタラですヾ(*´∀`*)ノ
さらにヤナギノマイも絶好調😃
皆さんクーラー釣りの大満足の結果となりました👏
今月から、船を新しくし、なんと最大11名乗れる、大きな船にチェンジした、第八十八豊盛丸(ホウセイマル)🚢
こんな感じで、椴法華沖、五目釣り絶好調となっております👏
第八十八豊盛丸は船も新しく大きくなって、更に安心安全(*‘∀‘)
最大11名乗船可能となり、広くて釣りがゆっくり楽しめます!
皆様のご乗船お待ちしております🚢
詳しくは直接船頭さんまでお願いいたします。
豊盛丸 田邊船長 090-6997-6930







