いつも当店をご利用頂き誠にありがとうございます。
2月2日(月)富里湖でワカサギ釣りに行きました。
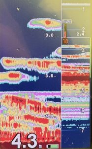
朝9時過ぎから始めてみましたが始めの30分ぐらいは反応が乏しかったのですが10時近くになると反応が少しずつ見られぽつぽつ釣れ始めてきました。
サイズは8cm前後がメインですね。
魚探にも帯状の反応が現れる頻度が増えてその後1匹ずつ上がり、たまに2匹という感じでゆっくりと数を伸ばしていきました。
結果、5時間ぐらいで115匹釣り上げて終了です!
アタリが弱く柔らかい穂先でわずかに揺れたタイミングで掛けるような感じが続いて渋い湖だなという印象でしたが繊細なアタリを見抜いて掛けるという楽しさがありました!
帰りは網走へ寄り道して流氷を見に行きましたがまだ沖で漂っている状況でした!








